Amtliche Bekanntmachung der Stadt Bebra
Bauleitplanung der Stadt Bebra Bebauungsplan Nr. 62 „Am Opfergrund“ im Stadtteil Breitenbach
- Bekanntmachung des Aufstellungsbeschlusses gem. § 2 Abs. 1 BauGB
Die Stadtverordnetenversammlung der Stadt Bebra hat in öffentlicher Sitzung am 19.02.20226 die Aufstellung des Bebauungsplanes Nr. 62 „Am Opfergrund“ beschlossen. Die Aufstellung des Bebauungsplanes erfolgt im Regelverfahren nach den §§ 2 ff Baugesetzbuch (BauGB) mit Umweltprüfung und Umweltbericht.
Ziel und Zweck des Bebauungsplanes ist die Schaffung der planungsrechtlichen Voraussetzungen für die Errichtung von Wohngebäuden durch die Festsetzung von allgemeinen Wohngebieten gem. § 4 Baunutzungsverordnung (BauNVO) mit ca. 3.600 m² im nördlichen Teil des Geltungsbereiches einschließlich der Festsetzung für Kompensationsmaßnahmen mit ca. 4.100 m² im südlichen Teil des Geltungsbereiches des Bebauungsplanes.
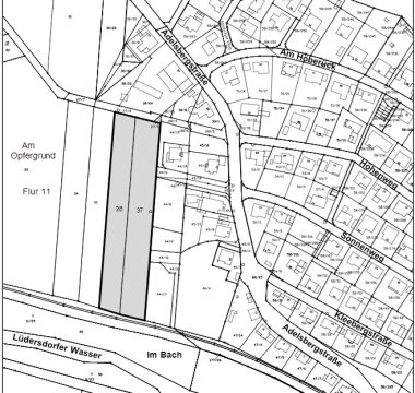
Der Geltungsbereich des Bebauungsplanes Nr. 62 umfasst die beiden Flurstücke 37 und 36 der Flur 11 in der Gemarkung Breitenbach. Lage und Abgrenzung des Geltungsbereiches des Bebauungsplanes sind aus der untenstehenden Abbildung ersichtlich.
2. Bekanntmachung der frühzeitigen Beteiligung der Öffentlichkeit gemäß § 3 Absatz 1 BauGB
Die Stadtverordnetenversammlung der Stadt Bebra hat in öffentlicher Sitzung am 19.02.2026 die frühzeitige Beteiligung der Öffentlichkeit gemäß § 3 Absatz 1 BauGB an dem Vorentwurf des Bebauungsplanes Nr. 62 beschlossen. Die Aufstellung des Bebauungsplanes erfolgt im Regelverfahren nach den §§ 2 ff Baugesetzbuch (BauGB) mit Umweltprüfung und Umweltbericht.
Ziel und Zweck des Bebauungsplanes ist die Schaffung der planungsrechtlichen Voraussetzungen für die Errichtung von Wohngebäuden durch die Festsetzung von allgemeinen Wohngebieten gem. § 4 Baunutzungsverordnung (BauNVO) mit ca. 3.600 m² im nördlichen Teil des Geltungsbereiches einschließlich der Festsetzung für Kompensationsmaßnahmen mit ca. 4.100 m² im südlichen Teil des Geltungsbereiches des Bebauungsplanes.
Der Geltungsbereich des Bebauungsplanes Nr. 62 umfasst die beiden Flurstücke 37 und 36 der Flur 11 in der Gemarkung Breitenbach. Lage und Abgrenzung des Geltungsbereiches des Bebauungsplanes sind aus der untenstehenden Abbildung ersichtlich.
Der Vorentwurf des Bebauungsplanes und seine Begründung liegen in der Zeit vom
02. März 2026 bis 03. April 2026
während der allgemeinen Dienststunden der Stadtverwaltung Bebra
Montag bis Freitag von 08:00 Uhr bis 12:00 Uhr
Montag von 14:00 Uhr bis 17:30 Uhr
Donnerstag von 14:00 Uhr bis 17:00 Uhr
in der für jedermann zugänglichen Eingangshalle im Foyer des Rathauses Bebra, Rathausmarkt 1, 36179 Bebra öffentlich aus. Die Unterlagen können auch nach vorheriger Vereinbarung außerhalb der vorgenannten Zeiten im Bauverwaltungsamt im Rathaus, Rathausmarkt 1, 4. Obergeschoss, Zimmer 406 und 407 eingesehen werden.
Der Vorentwurf des Bebauungsplanes mit Begründung ist während des oben genannten Zeitraumes auch auf der Internetseite der Stadt Bebra unter
www.bebra.de → Rathaus & Politik → Veröffentlichungen → Amtliche Bekanntmachungen
und über das zentrale Internetportal des Landes Hessen unter www.bauleitplanung.hessen.de
abrufbar.
Während der Veröffentlichungsfrist können Stellungnahmen zu dem Vorentwurf des Bebauungsplanes von jedermann schriftlich oder zur Niederschrift gegenüber dem Magistrat der Stadt Bebra abgegeben werden. Es besteht Gelegenheit zur Erörterung der Ziele und Zwecke der Planung. Bürgerinnen und Bürger wenden sich bitte an die Mitarbeiterinnen und Mitarbeiter des Bauverwaltungsamtes im Rathaus, Rathausmarkt 1, 4. Obergeschoss, Zimmer 407 und 407.
Stellungnahmen zu der Planung sollen elektronisch übermittelt werden, können bei Bedarf aber auch auf dem genannten anderen Weg der frühzeitigen Beteiligung der Öffentlichkeit im Rathaus der Stadt Bebra abgegeben werden. Stellungnahmen zu dem Vorentwurf des Bebauungsplanes Nr. 62 können während des Veröffentlichungszeitraumes von jedermann jeweils unter vollständiger Angabe von Datum, Name und Anschrift per E-Mail an bauleitplanung@bebra.de abgegeben werden. Über die eingegangenen Stellungnahmen wird die Stadtverordnetenversammlung der Stadt Bebra beraten und entscheiden.

Lageplan mit Geltungsbereich ohne Maßstab
Bebra, den 27.02.2026
Amt 60-JM
Der Magistrat der Stadt Bebra
gez. Knoche, Bürgermeister
Anlagen
Anlage 1 B-Plan Nr. 62 Plan u. Festsetzungen Vorentwurf_Bebra-Breitenbach
Anlage 2 B-Plan Nr. 62 Begründung Vorentwurf_Bebra-Breitenbach
Anlage 3 B-Plan Nr. 62 Artenschutzrechtliche Einschätzung_Bebra-Breitenbach
Magistrat der Stadt Bebra
Rathausmarkt 1, 36179 Bebra
Ansprechpartner: Jens Meister, Tel.: 06622/501-151